1acre
Ref: C5022
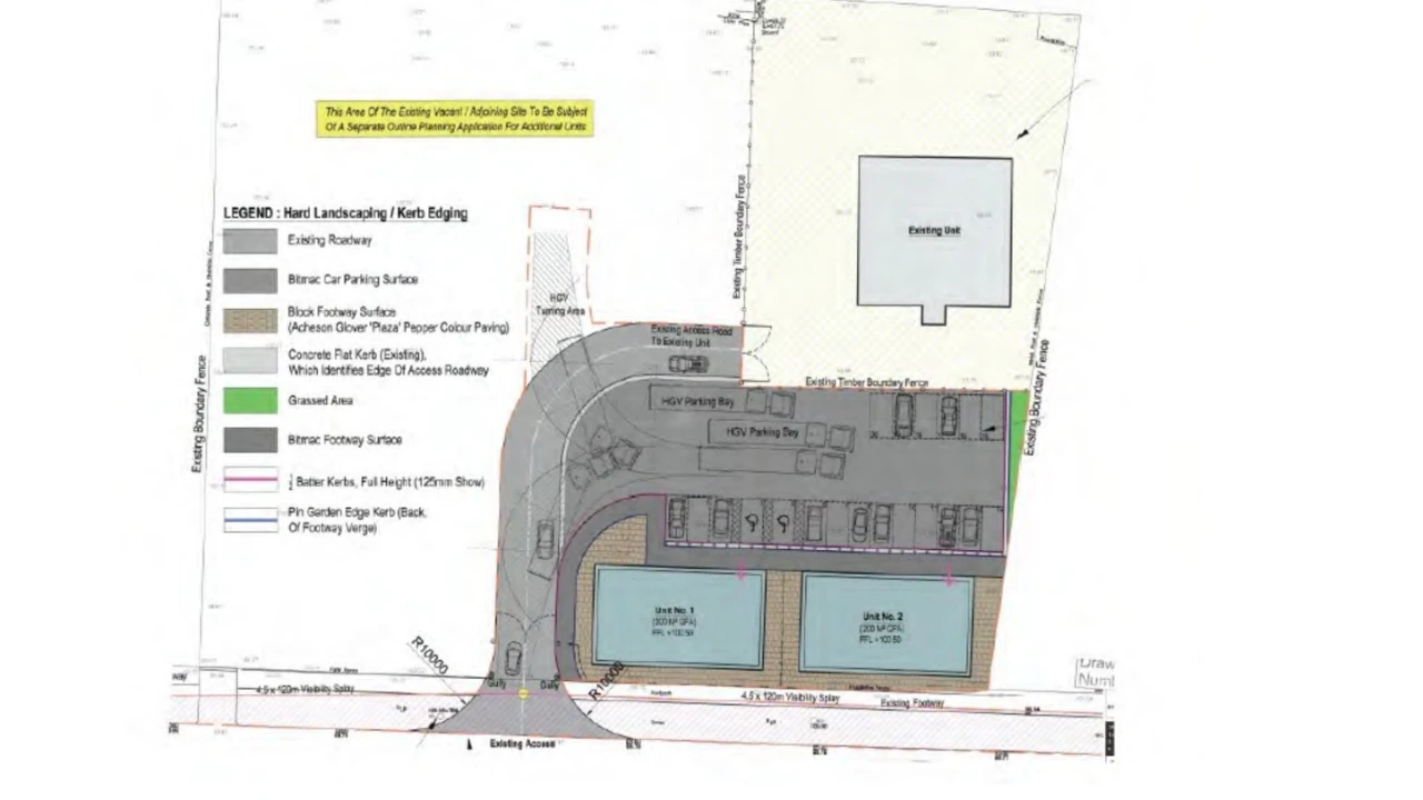
Total Site Area: 1.3 acres
Planning Permission in place for 7 No. units in total
The site extends to approximately 1.3 acres, rectangular in shape with a flat topography.
The service road is currently in place with a right of way through the site benefited to an adjoining owner, who pays an annual fee of £500.
Plot A has full planning permission approved for 2 No. units and we are advised foundations are in place and planning has been activated.
Plot B has full planning permission approved for 5 No. units. This permission expires in May 2030.
PLOT A (FULL PLANNING PERMISSION)
2 No. detached units
200 sq m / 2,152 sq ft each
Ridge height of 7.5 m (24.6 ft)
PLOT B (FULL PLANNING PERMISSION)
5 No. detached units
Potential for 1,000 sq m / 10,764 sq ft
Ridge height of 7.5 m (24.6 ft)
| PRICE: | On application |
| TITLE: | We assume the property is held under long leasehold title subject to a nominal ground rent |
The site extends to c. 1.3 acres (0.53 ha).
Plot A has full planning permission approved for 2 No. units and we are advised foundations are in place and planning has been activated.
Plot B has full planning permission approved for 5 No. units. This permission expires in May 2030.
No VAT is chargeable on the sale.
The subject site is located on the Courtauld Road in the established and highly sought after Campsie Industrial Estate, positioned approximately 6 miles east of Derry City.
PLOT A (FULL PLANNING PERMISSION)
2 No. detached units
200 sq m / 2,152 sq ft each
Ridge height of 7.5 m (24.6 ft)
PLOT B (FULL PLANNING PERMISSION)
5 No. detached units
Potential for 1,000 sq m / 10,764 sq ft
Ridge height of 7.5 m (24.6 ft)
| PRICE: | On application |
| TITLE: | We assume the property is held under long leasehold title subject to a nominal ground rent |
The site extends to c. 1.3 acres (0.53 ha).
Plot A has full planning permission approved for 2 No. units and we are advised foundations are in place and planning has been activated.
Plot B has full planning permission approved for 5 No. units. This permission expires in May 2030.
No VAT is chargeable on the sale.

The subject site is located on the Courtauld Road in the established and highly sought after Campsie Industrial Estate, positioned approximately 6 miles east of Derry City.